Schnellzugriff
Um die Vorlesefunktion von Readspeaker zu nutzen, müssen Sie Readspeaker in den Datenschutzeinstellungen freigeben
Planen und Bauen
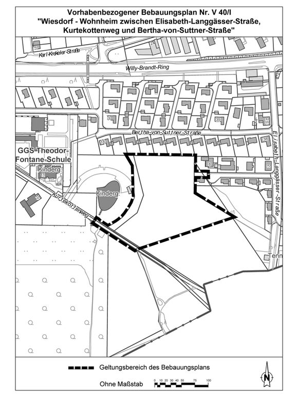
Vorhabenbezogener Bebauungsplan V 40/I
"Wiesdorf - Wohnheim zwischen Elisabeth-Langgässer-Straße, Kurtekottenweg
und Bertha-von-Suttner-Straße"

